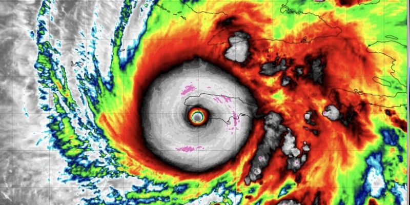
El potente huracán “Melissa” tocó este martes tierra en Jamaica con vientos máximos sostenidos cercanos a los 295 kilómetros por hora (183 millas), lluvias torrenciales y marejadas que amenazan con provocar inundaciones y daños catastróficos.
El ciclón, el de mayor intensidad esta temporada en el Atlántico, entró a Jamaica cerca de la localidad de Black River, en el suroeste de la isla, convertido en un huracán de categoría 5, informó el Centro Nacional de Huracanes (NHC, en inglés) de Estados Unidos.
El organismo prevé que “Melissa” mantenga su intensidad extrema antes de cruzar el sureste de Cuba el miércoles y llegar a las Bahamas el jueves.
Se trata del primer huracán que toca tierra en el Atlántico como categoría 5 desde 2019, cuando Dorian golpeó en Bahamas.
El NHC, con sede en Miami, advirtió que el huracán viene acompañado de “vientos catastróficos” y solicitó a la población de Jamaica que busque refugio de manera inminente, puesto que se trata de una situación “extremadamente peligrosa y que amenaza la vida”.
El huracán se desplaza actualmente a unos 7 kilómetros por hora en dirección nornoreste, lo que podría empeorar la devastación que ocasione en tierra.
“Melissa” generará lluvias acumuladas de entre 38 y 76 centímetros (15 a 30 pulgadas) sobre la isla, con máximos de hasta 1 metros (40 pulgadas), lo que provocará inundaciones repentinas y deslizamientos de tierra generalizados, según el NHC.
Puedes ver: HURACÁN MELISSA YA ES CATEGORÍA 5
Fuente: EFE, Latinus
















Comments