MUNDO
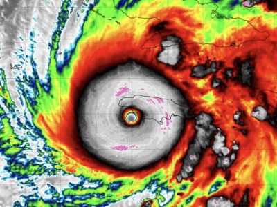
HURACÁN “MELISSA” TOCA TIERRA EN JAMAICA CON VIENTOS CERCANOS A LOS 300 KM/H
El potente huracán “Melissa” tocó este martes tierra en Jamaica con vientos máximos sostenidos cercanos a los 295 kilómetros por hora (183 millas), ...







